• 637751587765921762_IMG_6381.JPG
  • 637751587982480963_IMG_6385.JPG
  • 637751588207247934_IMG_6379.JPG
  • 637751588715606187_IMG_6376.JPG
  • 637795597253743464_aukce ukončena.jpg
Ukázat/Skrýt parametry
Typ:
Aukce
Stav:
Ukončeno
Číslo:
2021014
Předpokládaný konec:
03.02.2022 14:32
Vyvolávací cena:
4 823 600 Kč
Minimální příhoz:
20 000 Kč
Maximální příhoz
100 000 Kč
Výše jistoty:
250 000 Kč
Určená cena:
4 823 600 Kč
Kraj:
Jihomoravský
Město:
Říčany
Možnost podání předražku:
Ne
Podíl:
Registrace do:
02.02.2022 16:00
Prokázání totožnosti:
Ano
Prokázání totožnosti do:
02.02.2022 16:00
Složení jistoty:
Ano
Složení jistoty do:
02.02.2022 16:00
Výměra pozemku
1860 m2
Typ zakázky
Prodej
Odeslat provozovateli   Odeslat dražebníkovi
Pro podání námitky musíte být k dražbě přihlášen(a).

Námitku může podat přihlášený účastník v průběhu dražby a nejpozději do 10 minut po ukončení dražby.

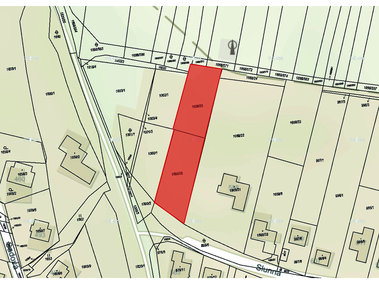
Prodej stavebního pozemku se zahradou o celkové výměře 1.860 m2 v Říčanech u Brna

Vloženo: 15.12.2021 10:03:35 |  Číslo aukce: 2021014 4 823 600 Kč
Konec aukce Čtvrtek 03.02.2022, 14:32

Popis předmětu aukce

  

Prodej souboru dvou pozemků o celkové výměře 1.860 m2 na konci ulice Slunná v Říčanech formou internetové aukce na aukčním portálu https://rsaukce.cz.

Aukce se uskuteční 3.2.2022 ve 14,00 hod., prohlídky lze domluvit individuálně.

Bližší informace na https://rsaukce.cz, nebo u uvedeného makléře.

Jedná se o parcelu na výstavbu jednoho samostatně stojícího domu.

Pozemek p.č. 1068/26 o výměře 1.016 m2 je veden v KN jako orná půda. V územním plánu obce je zahrnut v plochách stavebních SV- plochy smíšené obytné venkovské. Pozemek je umístěn ve středně svažitém terénu na severním okraji obce při ulici Slunná. Přístup k pozemku je po zpevněné komunikaci. Inženýrské sítě jsou v dosahu cca 20 m.

Pozemek p.č. 1068/25 o výměře 844 m2 je veden v KN jako orná půda. V územním plánu je zařazen v plochách Nz - plochy zemědělské. Pozemek užívat jako zahradu. Tento pozemek přímo navazuje na pozemek p.č. 1668/26 na jeho severním okraji. Pozemek je přístupný po nezpevněné komunikaci. Sítě na pozemku nejsou.

Regulativy stavby v ploše Z02 jsou následující:

- zástavbu umísťovat výhradně na spodní hranici pozemku co nejblíže k silnici, severně ponechat zahradu s vzrostlou zelení a stromy

- dopravní obsluhu řešit výhradně ze stávající ulice Slunné a z navržené plochy veřejného prostranství Z23

- výšková regulace zástavby: 1. NP + podkroví

- intenzita využití pozemku: 40%

Okolní zástavbu výše uvedených pozemků tvoří rodinné domy. Obec Říčany má asi 2100 obyvatel, základní občanskou vybavenost (základní síť obchodů a služeb, poštu, kulturní a sportovní zařízení, základní školu). Dopravní dostupnost je zajištěna autobusovou dopravou v rámci dopravního integrovaného systému JM kraje. Další výhodné dopravní spojení je dáno blízkostí dálnice D1.

Místo konání

www.rsaukce.cz

Vyhlašovatel

REAL SPEKTRUM, a.s.

Lidická 718/77
602 00 Brno

800 800 099
rs@realspektrum.cz